Der Planer erklärte Vor- und Nachteile dieser Variante. Positiv wäre eine Verkehrsberuhigung durch eine Querungsinsel wobei eine zeitweise totale Beruhigung durch den kurzzeitigen Halt eines Linienbusses eintritt.Negativ wäre, dass eine Bus-Wendemöglichkeit nicht machbar ist, dies aber würde über den GWB-Kreisel möglich sein.
Des Weiteren ist der Entwurf auch noch der kostengünstigste. Herr Wende wird mit diesem Entwurf die Verkehrsbetriebe ansprechen um eine Abstimmung mit ihr zu erlangen.Der Planer berichtete auch über die abgeschlossenen Arbeiten am Mühlenweg – Ecke Haidkamp, wo eine Verbreiterung gen Osten und ein größerer Kurveninnenradius, dem Bus jetzt ermöglicht, gefahrlos in den Haidkamp einzubiegen.
Des Weiteren erklärte Herr Wende die Möglichkeiten der Regenwasserversickerung für und an der Bücherei, sowie vom Vorplatz des Kindergartens am Steinredder.
Weitere diskutierte Punkte waren das Parken von Fahrzeugen in der Bahnstr. und der Zustand von Straßen in Neubörnsen, sowie eine effektive Sperrung des Hangteils des Grünen Weg.
Die Ausschussmitglieder einigten sich auf Termine für eine Ortsbereisung im Frühjahr um eine Bestandsaufnahme zu machen.
Heidrun Punert
ZOB Börnsen
ZOB in Börnsen am 1.April fertig.
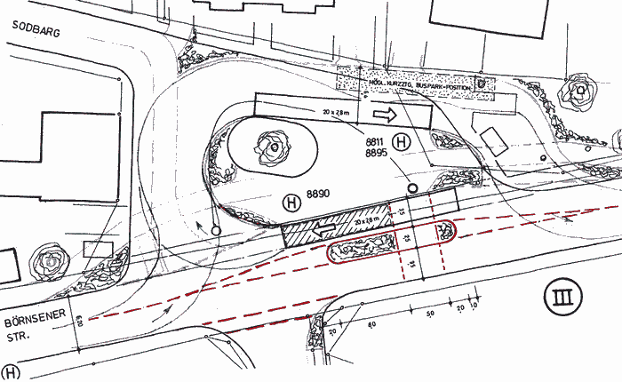
In der Bauausschusssitzung vom 23.Februar 2015 erläuterte der Planer Herr Wende an Hand von 3 Entwürfen Lösungen für die Bushalte- und Buswende -Situation am ehemaligen Lindenhofplatz. Nach ausführlicher Diskussion der Entwürfe, entschieden sich die Mitglieder einstimmig für Entwurf III.
